Copybook-Nachrichten in den API Scan importieren

Viele Unternehmen verwenden für ihre Verwaltungs-, Geschäfts- und Finanzzwecke COBOL-Dateien (Common Business Oriented Language). COBOL-Dateien sind komplex und enthalten daher oft Copybook-Dateien, die Informationen über ihre Datenstruktur und deren Interpretation enthalten.

Der API Scan ermöglicht es Ihnen, mit Copybook-Nachrichten zu arbeiten und die darin enthaltenen Informationen über ein Customer Information Control System (CICS) Transaction Gateway auszutauschen.

Copybooks im API Scan

Eine Copybook-Datei enthält Datensätze, die aus mehreren Einzelfeldern und Feldgruppen bestehen. Es ist nicht möglich, die Payload einer Copybook-Nachricht flüssig in Text zu übersetzen. Daher zeigt der API Scan die Payload in einer Tabellenansicht an, die Sie lesen und bearbeiten können.

Nähere Informationen über den Aufbau von Copybook-Nachrichten und die Tabellenansicht finden Sie hier: siehe Kapitel "Copybook-Nachrichten lesen".

Voraussetzungen

Der API Scan ermöglicht es Ihnen, Copybook-Dateien aus dem Tosca Commander zu importieren. Es ist nicht möglich, Copybook-Dateien direkt im API Scan in einem lesbaren Format aufzuzeichnen.

Um Copybook-Dateien im API Scan zu verwenden, stellen Sie sicher, dass Sie die folgenden Voraussetzungen erfüllen:

Copybook-Nachrichten im API Scan ausführen

Um Copybook-Nachrichten im API Scan auszuführen, führen Sie die folgenden Schritte aus:

  1. Wählen Sie im Tosca Commander das Modul aus, das Ihre Nachrichten enthält. Um mehrere Module auszuwählen, halten Sie die STRG-Taste gedrückt.

  2. Wechseln Sie zum Menü API Testing.

  3. Um zum API Scan zu exportieren, klicken Sie auf API Scan und wählen Sie Open selected Modules aus dem Aufklappmenü.
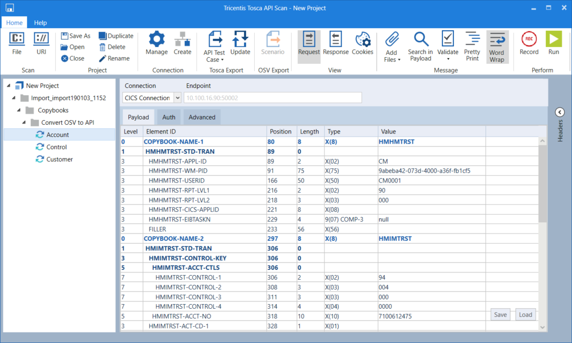
    Der API Scan öffnet die importierten Copybook-Nachrichten und zeigt sie an.

Importierte Copybook-Nachrichten im API Scan

  1. Ändern Sie bei Bedarf die Verbindung im Feld Endpoint.

    Der Endpunkt muss aus dem Namen oder der IP-Adresse des Hosts und dem Port, getrennt durch Doppelpunkt, bestehen. Zum Beispiel: 10.100.16.90:11000.

  2. Klicken Sie optional auf Validate und wählen Sie Validate CICS aus dem Aufklappmenü. Auf diese Weise können Sie die Payload validieren und auf fehlerhafte Copybook-Nachrichten prüfen.

  3. Um Ihre Nachricht zu senden, klicken Sie auf Run oder drücken Sie die Eingabetaste.