Use the Buffer Viewer

Buffers are temporarily saved, reusable static or dynamic values in Tosca Commander. For detailed information on buffers, see chapter "Using Buffers: a How-To Guide".

The Buffer Viewer feature allows you to create new buffers, as well as to visualize, edit, or delete existing ones.

To edit buffers, click the Buffer Viewer icon in the Tools menu.

Buffer Viewer icon in Tools menu

The Buffer Viewer includes options for buffer operations within the Tools menu. For detailed information on operations with buffers, see chapter "ActionMode Buffer".

In the Buffer Viewer you can perform the following actions:

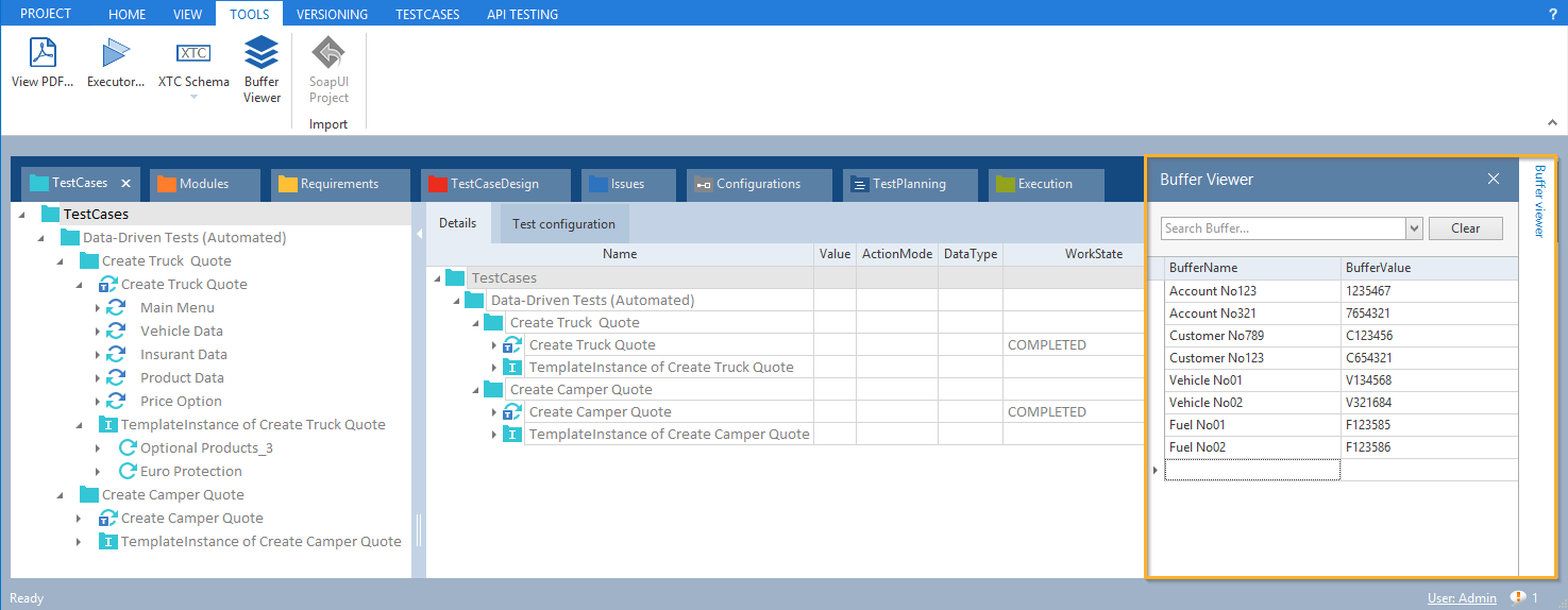
The Buffer Viewer side panel lists all existing buffers with their details. A buffer has two components, the Buffer name and the Buffer value.

Buffer Viewer

Search a buffer

The Buffer Viewer side panel offers a search function. You can search for either a Buffer name or a Buffer value.

To search for a buffer do the following options:

  • Enter the term you are looking for in the Search field.

    Alternatively, you can clear the entered term by clicking the Clear button.

  • Click the arrow icon to display a list and select a term from the search history.

Buffer Viewer with buffer search field

Add a new buffer

To add a new buffer perform the following steps:

  1. Click in the last field of the Buffer Viewer.

  2. Specify the new buffer by entering a unique name and value.

  3. Hit the ENTER key or click to another field to validate your action.

Add a new buffer in the Buffer Viewer

Modify an existing buffer

To modify an existing Buffer name or a Buffer value perform the following steps:

  1. Select the buffer entry you want to modify in the Buffer Viewer.

  2. Modify the buffer by entering a unique name and value.

  3. Hit the Enter key or click to another field to validate your action.

Modify an existing buffer in the Buffer Viewer

Delete buffer

To delete an existing buffer perform the following steps:

  1. Select the buffer entry you want to delete in the Buffer Viewer.

    To select multiple buffers, hold the CTRL key.

  2. Hit the Delete key to delete the selected buffers.

Delete existing buffers in the Buffer Viewer